Vragen of extra informatie gewenst over dit pand?
Bijkomende informatie over het pand
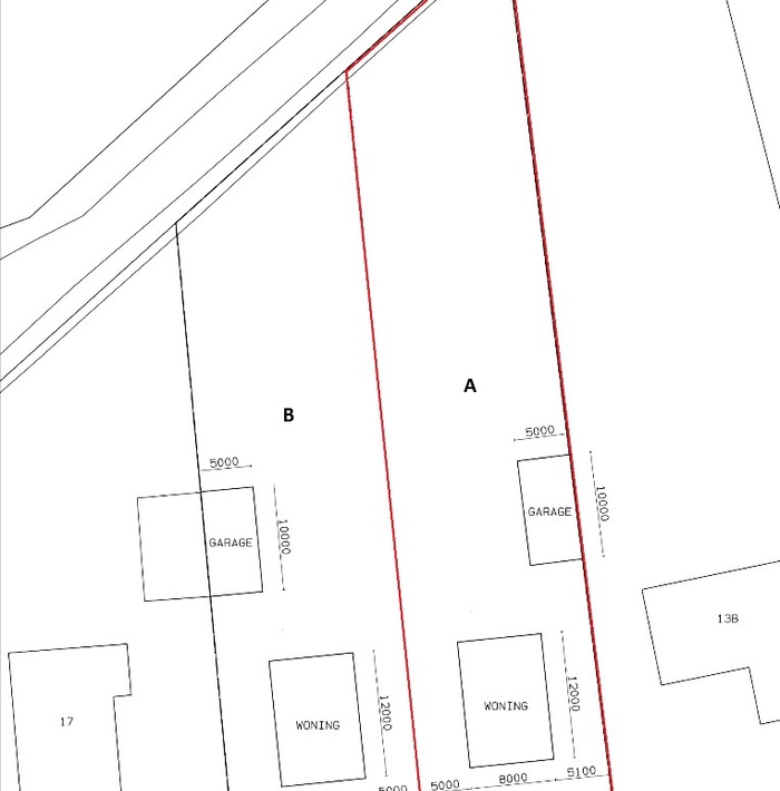
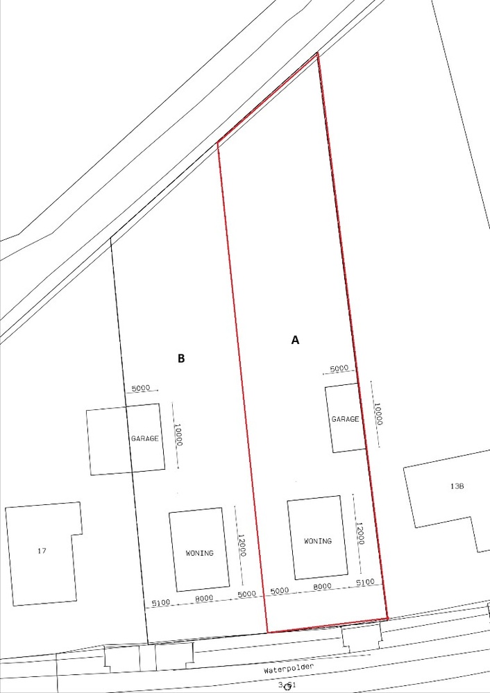
Dit ruime perceel bouwgrond van ca. 1.370 m² is bestemd voor vrijstaande bebouwing en biedt dankzij zijn uitstekende perceelvorm van ongeveer 18 meter breed en 80 meter diep en de grote bebouwbare oppervlakte bijzonder veel ontwerpmogelijkheden. Ideaal voor wie een woning op maat wil realiseren met aandacht voor ruimte, licht en privacy.
Aan de achterzijde van het perceel geniet u van een rustgevend en blijvend open landschap. Het achterliggende terrein bestaat uit een grote vijver, waarbij de bijhorende woning volledig uit het zicht blijft. Dit garandeert een ononderbroken, weids uitzicht op het omliggende groen. Bovendien bevinden de verder achterliggende gronden zich in waardevol agrarisch gebied, wat ervoor zorgt dat het landelijke en groene karakter van deze omgeving ook in de toekomst behouden blijft.
Belangrijk fiscaal voordeel:
De bestaande constructie dient te worden gesloopt, waarbij de sloopkosten ten laste zijn van de koper. Hierdoor kan men, mits naleving van de wettelijke voorwaarden, genieten van het verlaagd btw-tarief van 6% bij heropbouw.
Een unieke kans voor wie rustig en landelijk wil wonen, met alle ruimte en privacy rondom zich.
Aarzel niet om ons te contacteren voor meer informatie.
Contacteer ZwinRegio over dit pand
Ontdek alle andere panden












